Throughout Toowoomba City, we have designated walks that take in some of our many historic interest points. Browse the interactive online maps below.

Brochures of each of these walks are also available at Toowoomba Region customer service centres and visitor information centres.

 

Walking time

Allow approximately 30 minutes at a brisk pace or about an hour at a leisurely pace to complete this walk.

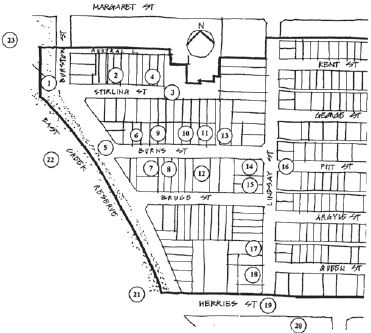
Interactive online map - Caledonian Estate historic walk

History

In the 1870s the land from the gaol to Herries Street, between Burstow and Lindsay Streets, was used by the Caledonian Society for its sports. The name was retained when the first residential land sales took place in 1904. We hope you enjoy your walk through this historic area with streets named Stirling, Burns and Bruce reflecting the city’s Scottish connections.

Caledonian Estate historic walking path

Caledonian Estate historic walk map

Barge boardLocation 1: 1 Burstow Street

This is the site of the Caledonian Store near the Gallipoli Pines. Before the re-siting of the Mothers’ Memorial in 1985, there were a number of cottages between here and Margaret Street. Burstow Street was named after Thomas Burstow who was mayor in 1904, 1907 and 1919. He was also a member of the first Austral Association Committee.

Location 2: 9, 7 & 5 Stirling Street 

In Stirling Street, houses numbered 9, 7 and 5 are examples of the housing styles common in Toowoomba early in the 20th century. Note the moulded bargeboards (see image on right), metal window hoods, finials, ridge cresting and iron lace. Fairly intact collections of houses of a similar age and style to these are a significant feature of our heritage precincts. Many of the verandahs were closed in during World War II when accommodation and materials were at a premium.

Location 3: 1A Stirling Street 

At the eastern end of Stirling Street are the massive foundations of the Toowoomba Gaol. These basalt rocks were quarried at Picnic Point and supported high walls made from bricks manufactured at nearby locations such as Queens Park. Some of these bricks were used in constructing the Boer War Memorial gateway to the Mothers’ Memorial.

The gaol opened in 1864 in time for the first execution, which was the hanging of Alexander Ritchie. Ritchie was convicted of robbery under arms and murder. The gaol closed in 1904 and the main building was converted into a hall for the Austral Association. 

Under the leadership of poet George Essex Evans, an annual festival was held promoting music, art, literature and science. The sudden death of the poet during the festival in 1909 marked the decline of the Austral Association.

Location 4: 3 Stirling Street

Austra at 3 Stirling Street was the home of Dr and Mrs MC Brothers, whose daughter married Hubert Allom, a well respected teacher. Mr and Mrs Allom subsequently lived here, with the same family continuing to own the house since 1921.

Location 5: 17 Burns Street 

Follow Stirling Street back to Burstow Street, noting the pine trees (Cedrus deodara) planted in 1914 at no. 7, the holly bushes at no. 9 and the fine London plane tree (Platanus x acerifolia) at the junction of Burns and Burstow streets (17 Burns Street).

Window hoodLocation 6: 15 Burns Street 

On the left in Burns Street, four workers’ cottages form a group similar to that seen previously but more modest in design. In 1922 Mr and Mrs HF Saffery bought no. 15 through the Darling Downs Building Society. Their address in the loan repayment book includes a reference to the estate name, long after the first sales of land in the estate. Again, notice the window hoods (see image on right), gables and similar features which make these buildings so special.

Many early residents walked or rode their bicycles to work, in, or near, the centre of town at locations including the post office, Empire Theatre, gasworks, foundry and the railway.

Location 7: 14 Burns Street

No. 14 Burns Street was named Grantleigh by its second owner, James Grant, when he moved here in 1913. He had been postmaster at Kingaroy prior to his transfer. In the 1930s his daughter Eleanor married a pharmacist, Cecil Sinnamon, and they lived at no. 12. When the young family needed extra space, they swapped houses with her parents. 

The gable of no. 12 with its distinctive pressed metal infills is worth a look. It is now named Brora after the Scottish birthplace of James Grant’s father.

Location 8: 10 Burns Street 

No. 10, a typical early cottage, was built in 1910. Whilst its first owner was a labourer named Henry Moffat, railway worker Herbert Apelt lived here for many years. Its fretwork entry adornment is quite unusual for this area; the only other being at Grantleigh.

Location 9: 9 and 9A Burns Street

Nos 9 and 9A were built during World War II, when an older house, was demolished.

Location 10: 7 Burns Street

Kinlossie, at No. 7, is one of the few houses to remain unaltered since it was built in the 1900s.

Location 11: 3 Burns Street

Bramhope at no. 3 was built in 1907 by pharmacist Frederick Thornley, who had a business in Ruthven Street.

Mrs Thornley enjoyed an important social position. The Darling Downs Gazettes in 1908 and 1909 contained notices informing that “Mrs Thornley, ‘Bramhope’, will not be at home’ tomorrow”. In the 1960s, owners named Fraser built no. 3A for their son.

Location 12: 4 Burns Street

No. 4 was built on the first land sold in the Caledonian Estate. Its style is from an era earlier than those houses with protruding front gables. For many years it was the home of the McDonald family, still associated with the printing industry and sport in Toowoomba. The brick flats to the east were built on its tennis court.

Location 13: 1 Burns Street 

The Inter-War style house at no. 1 was built in 1935 by Mr and Mrs Ernest ‘Billy’ Benson. For many years he worked at TT Hardware when it was in the city centre.

Location 14: 89 Lindsay Street

Oscar Muller was the first owner of 89 Lindsay Street in the 1930s. He later built and moved to 2A Burns Street. At no. 89 there is an interesting attempt to design a garage in a similar style to the house. It was later modified to provide an extra room.

Location 15: 91 Lindsay Street

No. 91 Lindsay Street, Rothesay, was built in 1905 for Mr and Mrs John Provan. He was a partner in the Ruthven Street newsagency, Robertson and Provan. The house is an excellent example of an Edwardian Era house. To celebrate moving into their new home, Mrs Provan planted the red cedar tree (Toona ciliata) on the corner. It is now an outstanding feature of the Caledonian Estate.

Location 16: 86 Lindsay Street

The area on the eastern side of Lindsay Street, originally named the Paddington Estate, was first offered for sale in 1866.

Location 17: 99 Lindsay Street

The house which formerly occupied the tennis court site has been relocated to the rear of the existing dwelling at 99 Lindsay Street. The house at no. 95 was removed in 1999 and later replaced with a new house in 2014.

bluestone kerbingLocation 18: 103 Lindsay Street

The gates of the Caledonian Sports Ground were opposite Queen Street at the junction of Lutwyche Street (later named Lindsay Street). Between 2000 - 3000 people attended the sports here on New Year’s Day 1896. After a march from Ruthven Street, led by a standard bearer carrying the flag of Scotland, the crowd including many Highlanders in their different tartans, enjoyed a varied sports program for old and young alike. It included a Highland Fling competition, tent pegging and lemon cutting by the Mounted Infantry as well as handicap foot races and a one mile bicycle race. £80 was taken at the gates and the celebrations concluded with a ball at the Masonic Hall. We now see an unbroken streetscape of modest Queensland bungalows built between World War I and World War II.

Location 19: Avenue of trees

Turning into tree-lined Herries Street, one immediately notices the avenue of camphor laurels (Cinnamomum camphora) above bluestone kerbing (see image on right) on the southern side of the street. These features are part of Toowoomba’s heritage.

Location 20: 74 and 72 Herries Street

James Renwick, builder of the Masonic Hall and St Stephen’s church, constructed Blink Bonny at 72 Herries Street and Bonnie Doon at no. 74 in 1893. The bricks used are marked with his name.

Location 21: 2 Kitchener Street - bridge and ponds

Prior to being drained in 1874, the area between the Herries Street bridge and the Mothers’ Memorial was part of the East Swamp. In the 1970s the water was channelled underground providing the open space as we see it today. Murray Clewett designed the bridge and the ponds.

Location 22: East Creek cycle path

Along the cycle path towards Margaret Street look out for the bird life – red wattle birds and thornbills in the eucalypts and swamp cypresses; and black ducks in the ponds. Horses from a bakery once located where the Transport Department building now stands, were pastured here prior to the underground channelling. Locals remember the mad rush to take them to higher ground when a sudden storm caused flooding. There was a horse trough where the picnic table stands at the end of Burns Street.

Location 23: Peace garden

At the conclusion of the walk you may enjoy a rest beneath the Trafalgar oak in the Peace garden near the Gallipoli Pines. On the nearby Mothers’ Memorial are the names of two former residents of the Caledonian Estate, Glen Saffery and Colin Apelt.

 

Acknowledgement: Thanks to Eleanor and Peter Cullen, Beris Broderick, John Clements, Bob Dansie, Stephanie Keays, Ivan McDonald and the residents of the Caledonian Estate.

Walking time

Allow approximately one hour at a brisk pace or over an hour at a leisurely pace to complete this walk.

Interactive online map - Mort Estate historic walk

History

The Mort Estate is Toowoomba’s oldest subdivision. It was established in 1862 when well-known colonial identity Thomas Sutcliffe Mort offered it for sale in 100 allotments.

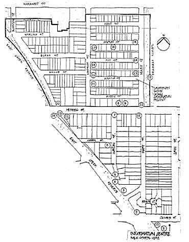
Mort Estate historic walking path

Mort estate walk map

Starting at the Railway Station (Railway Street) walk up Taylor Street and turn right into Mill Street.

Location 1: Carlton House, 3 Mill Street

Carlton House stands at no.3. Built in 1877 for James Augustus Pearson, this early brick building has grand scale living areas, two attic bedrooms and is encircled by verandahs. The original brick stables, kitchen-house and servants’ cottages appear to be standing at the rear of the house. The building later operated as a boarding house. Continue along Mill Street and turn left into Campbell Street.

Cottage at 131 Mort StreetLocation 2: 127 Mort Street

Turn left into Mort Street. The house once known as Dr Roberts’ Cottage Hospital is situated at 127 Mort Street. It was thought to have been connected by a bluestone path to the nurses’ quarters at no. 129, known as Margate Cottage c.1866.

Nos 121 to 131 Mort Street have been constructed on the site where three near identical cottages once stood. Fire destroyed all but Margate Cottage, which has retained two original attic bedrooms. Railway worker Henry Hilder purchased the property in 1893. The original cottage (see image on right) at 131 Mort Street was the likely birthplace of the famous local watercolour artist, Jesse Jewhurst Hilder. The eighth child of Henry Hilder, Jesse was born in 1881. A shy man of modest means, Jesse died in 1916 from tuberculosis. Australian painting legends Sir Arthur Streeton and Lloyd Rees regarded Jesse Hilder as a genius.

The present c.1900 worker’s cottage at no. 131 was moved from Wetalla, north-west of Toowoomba.

Location 3: 10 Taylor Street

Turn right into Taylor Street which was named after the prominent early citizen James Taylor. The Mort Estate School which opened in 1869 originally stood on the southern side. The current Toowoomba North State School brick building was opened in 1938 and had many noted students including former Mayor, Nellie Robinson and artist Jesse Hilder. This 1930s school is one of three built in Toowoomba before World War II.

Location 4: 23 Taylor Street

Mrs Dray’s store on the corner of Taylor and Gowrie streets was popular with school children who loved her homemade cider. Her husband was a butcher in Pobar’s butchery.

Location 5: 47 Taylor Street

St James Lodge c.1880 at 47 Taylor Street was originally called ‘Inverleigh’. It was occupied by Richard Hodgson who became headmaster of the Mort Estate School.

Location 6: 53 Taylor Street

No. 53 Taylor Street c.1885 was first occupied by John McKenzie, who was the Queensland National Bank Toowoomba branch manager from 1872 until 1898. James and Elizabeth Blackburn owned the property from 1888 until Elizabeth died in 1932. James Blackburn was a prominent saddler in Toowoomba. This elegant Victorian Era house presents a generous front verandah entrance to the street.

Boulton terrace streetscapeLocation 7: 57 Taylor Street

Roseneath c.1870 at 57 Taylor Street was built for JC Robertson, a stationer whose business was ‘Stationer’s Hall’. Some building materials came from the United Kingdom, including the Welsh slate used on the roof. It is the only Toowoomba house that still has its original and complete slate roof. The former residence at 65 Taylor Street has a picturesque front verandah with symmetrical gables and memorable stained glass windows.

Turn right into West Street.

Location 8: 64A West Street

Donegal at 64A West Street has a very distinctive entrance.

Turn right into Campbell Street.

Location 9: 15 Boulton Terrace

Turn left into Boulton Terrace (see image of Boulton Terrace streetscape on the right). Bendemere, on this corner, has an original coach house/stable at the rear and was part of the original Mort Estate. This street was named after Martin Boulton who reputedly bought all the allotments, keeping the eastern side vacant to maintain his views to the creek. Around 1864-65, Boulton had five double-brick houses built on the western side (nos. 15, 13, 11, 9 & 1). They had hardwood shingle roofs, pit-sawn hardwood floors, cedar joinery and plaster and lath ceilings. The bluestone kerbing and the tranquillity make this street unique.

Tawa homeLocation 10: 9 and 11 Boulton Terrace

At 11 Boulton Terrace is Tempi Villa, which Martin Boulton had built by 1865 for one of his daughters. Located on the western side of the street, Tempi Villa is an early brick house and there used to be stables. The unusual triple-sash windows and curved entrance way are distinctive as are the pressed metal ceilings inside. Between 1965 and 1990 the fully furnished residence was used as a boarding house known as Thyangra Guest House, named after Thyangra Station situated near Thargomindah in far south western Queensland. Then in 1990 the property was turned into a Bed and Breakfast. Next door at 9 Boulton Terrace is Tawa (see image on right). This is the most original of the Boulton houses and it still has the original plaster and lath ceilings as well as cast iron veranda posts. Built around the mid-1850s, it is believed to be one of the oldest surviving residences in Toowoomba. There is a relatively recent two storey rear extension, built of recycled materials.

Location 11: 4, 8, 10 and 12 Boulton Terrace

Until the turn of the century, the eastern side was a fenced paddock with a well. The street now has a wide array of houses, including a fine row of early Toowoomba workers’ cottages. Examine nos 4, 8, 10 and 12. Although they are of similar design, each has different features.

Location 12: 1 Boulton Terrace

Boulton Villa at 1 Boulton Terrace is where Martin Boulton lived with his wife Henrietta who remained there until her death in 1910. Boulton was a butcher and was also involved in several other successful businesses. He was a local identity with many civic roles, including being a member of the first municipal council. Through his sisters’ marriages, he was connected to many of the prominent Darling Downs squatters including James Taylor; however, despite his local prominence, he later became bankrupt. Note the fine stand of bottle trees on the southern fence line near 3A Boulton Terrace.

Turn right into Norwood Street.

Location 13: Norwood streetscape 

Norwood Street was declared a public thoroughfare in 1866. The streetscape includes examples of various types of ‘Queenslander’ houses built before World War II. The house styles are described as Early, Post War and Inter-War in the book The Toowoomba House: Styles & History. This street has fine examples of bluestone kerbs and camphor laurel street trees.

8 Norwood streetLocation 14: 16 Norwood Street and 8 Norwood Street

The Brachychiton in front of 16 Norwood Street is over 120 years old. It was a gift to pioneer John Ware from local aboriginal identity Paddy Perkins. Known as a Stunga tree, the bark was used for shields and head gear. Norwood Cottage c.1880 at 8 Norwood Street has an original wine cellar and ornate features on the verandah roof (see image on right).

Turn left into Gowrie Street.

Location 15: 174 and 172 Bridge Street 

At the end of Gowrie Street (172 Bridge Street) is Corrawee. It was built in 1917 for the newly married TP O’Brien (an important local family best known for their ownership of Defiance Flour Mills) and his wife Muriel. It was extended several times to cater for their eight children. Note the beautiful stained glass windows in the Inter-War western extension and the early garage. Kanowna, to the west of Corrawee, was built in 1905-6 for Marmaduke James Wilkins, manager of the nearby butter factory. It was named after a coastal steamer on which Wilkins had travelled to Western Australia. The house is an example of the Edwardian style.

Walk back down Bridge Street and turn right into Mort Street.

Location 16: 91, 93 to 99 Mort Street

The large building on the right (now MacDonald Printing) was a brewery until 1976.

Turn right up Norwood Street.

Location 17: Price Lane streetscape

Walk past Price Lane, which was named after an early landholder in the Mort Estate.

Location 18: 35 Gowrie Street home26 to 28 Gowrie Street and 34 and 36 Gowrie Street

Turn left into Gowrie Street. Nos 26 and 28 Gowrie Street are on the site of the original Felix Pobar’s butcher shop, which opened in 1888. During their business peak, the Pobar’s owned five shops in the area.

Gowrie Cottage at 34 Gowrie Street was built in 1892 by Mr Reilly. In 1898 it was enlarged by the addition of a small cottage which was moved by bullock team from Drayton. No. 36 Gowrie Street c.1880 is an early, simple form of Victorian Era house with a side-to-side ridge. The front section of the house has a matching form behind it creating twin side gables. This form was sometimes called a railway worker’s cottage.

No. 35 Gowrie Street (see image on right) is a timber cottage with the distinctive high-pitched roof, wide weatherboards and curved iron verandah roof that were typical of pre-1900 Toowoomba cottages. It was owned in 1917 by Mr Baxter who was a railway worker.

Seperation hotel imageLocation 19: 1 Snell Street

Turn left into Taylor Street and right into Snell Street. The north-western corner of Finchley and Snell streets is the site of Toowoomba’s first hotel, the Seperation (see image on right). Built about 1856 by William Horton, it was renamed the Royal in 1860 and known as one of the finest in the colony in 1864. A plaque commemorating the building is located on this corner.


Continue back to Taylor Street, turn right and return to the Railway Station.

Location 20: 73 Russell Street - Toowoomba Railway Station

Complete the Mort Estate Historic Walk with a stroll around the railway station which was opened in 1874. The station was designed by colonial architect FDG Stanley and built by Richard Godsall.

Refreshment rooms opened at the station in 1902 and the Honour Roll Pavilion for World War I railway men was added in 1918. There is also a World War II air raid shelter set into the bank opposite the station entrance.

 

Acknowledgement: Thanks to Ros Crank, Fiona Darroch and Janice Swannell for compiling the information and Val Russell for the cottage illustrations. Sketch of Seperation Hotel reproduced with kind permission of the artist, Bob Dansie.

Walking time

Allow approximately one hour at a brisk pace or over an hour at a leisurely pace to complete this walk.

Interactive online map - Russell Street historic walk

History

Russell Street was originally known as Farm Road. It was a dirt track used by squatters from the west to transport their sheep and cattle to Brisbane for sale and return with supplies to their properties. By 1854 it was renamed Russell Street after Henry Stuart Russell. Russell was an early Toowoomba resident whose various occupations included grazier, explorer, politician, author and gentleman.

Russell Street historic walking path

Russell Street walk map

Commence the walk at the railway station.

St James anglican churchLocation 1: 73 Russell Street – Toowoomba Railway Station

The original railway station was opened on 1 May 1867. It was a major engineering feat to build the line up the Great Dividing Range from Ipswich. The present building was opened on 26 October 1874 and was completely renovated in 1998/9. It is constructed in a classical revival style using Murphy’s Creek stone. The station was the centre of trade for many years with governors and royalty travelling to Toowoomba by train. Just across from the station there is a solid brick structure constructed during World War II for use as an air-raid shelter. Walk up the stairs to Station Street and turn left. At Russell Street turn right and commence walking up the hill.

Location 2: 145 Mort Street

St James’ Anglican Church (see image on right). The foundation stone for this church was laid by the Governor of Queensland on St James’ Day, 1 May 1869. The church is reminiscent of an English parish church. The tablets inside the church are reminders of Toowoomba’s most famous families including the Taylors, Renwicks and Grooms. Note the beautiful stained glass windows throughout the building. The windows along the centre aisle were erected by the parishioners in memory of those who died in World War I. A window in the baptistry commemorates a former parish priest, Rev. John Barge, who was killed by the Japanese in New Guinea during World War II.

Continue west up Russell Street to the next site.

Location 3: 129 Russell Street

No. 129, formerly Wislet, was designed by William Hodgen Jnr and built in 1908 by Harry Andrews for Dr Hinrichsen. It served as both home and medical rooms for successive families of Dr Connolly, then Dr Hulme. From 1963-1998 Wislet was the Wesley Hospital.

Location 4: 135 Russell Street

Vacy Hall at 135 Russell Street was designed by architect James Marks in the late 1880s for Mayor, Gilbert Gostwyck Cory. The property was built of double cavity brick and has many attractive internal features. The original house was destroyed by fire but was rebuilt in 1900. The Marks family had a significant role in designing buildings in the area. James’ sons, Henry (Harry) and Reginald, and his grandson Charles, also became architects. The firm practised from c.1881 until 1962 and favoured red brick buildings with white painted/rendered detailing.

Clifford houseCross Russell Street before the intersection with Kingston Street to view the next property.

Location 5: 126 Russell Street

Kensington at 126 Russell Street was built in the early 1900s and renovated for commercial use. The property has many features including metal cresting on the ridge of the roof and landscaping appropriate to the design of the house.

Continue down Russell Street to the following sites:

Location 6: 120 Russell Street

Clifford House at 120 Russell Street is a magnificent sandstone building (see image on right). It was built in the early 1860s as a residential squatters’ club but never fulfilled that purpose. The Lands Office later occupied the building. In 1869 the property was bought by James Taylor who was at various times Mayor of Toowoomba, Member of Parliament and Minister for Lands. He was often described as the ‘King of Toowoomba’ because he was involved in many major developments in Toowoomba during his lifetime. Features of Clifford House include cedar doors and huge landscaped gardens.

Taylor memorial instituteLocation 7: 112 Russell Street

Taylor Memorial Institute. This Anglican hall at 112 Russell Street was built from funds provided by the Taylor family in memory of their parents, James and Sarah Taylor. The hall was opened on St James’ Day on 1 May 1912. The hall was designed by James Marks & Sons and is unusual in style. The external walls were made of concrete covering over wire netting. The recently replaced terracotta tiled roof is spectacular.

Location 8: 80 Russell Street

The hotel at 80 Russell Street (corner of Station Street) was the site of the first hospital in Toowoomba. The hospital was a four-roomed cottage, owned by James Taylor, when it opened in 1859. Much of the old hotel building is now hidden.

Location 9: 78 Russell Street

Matilda House, on the corner of Station and Russell streets, was built between 1885 and 1890 and was known as The Coffee Palace. This building has a post-World War II front. The building was owned by Francis Schaffer who placed the sign Schaffer’s Boarding House on the arc across the roof. The arc is still visible today. The stables were located where the liquor barn now stands in Station Street. In 1919 Mrs Ada Cross purchased the business and renamed it The Central Coffee Palace. She advertised accommodation (bed only) for two shillings and meals for one shilling and sixpence.

Hotel NorvilleLocation 10: 76 Russell Street 

Hotel Norville, formerly the Grand Hotel, was designed by James Marks & Sons. It was completed in early 1903 and described as the first 3-storey building in Toowoomba. The balconies are interesting and guests must have enjoyed seeing passengers arrive and leave from the busy railway station nearby (this building is best viewed from the northern side of Russell Street).

Location 11: Queensland Rail deviation line

Queensland Rail built a deviation line in 1915, which cut across Russell Street as well as other streets and changed the nature of the street.

Location 12: Russell Street men’s toilet

The men’s toilet and urinal was constructed in 1919 and is believed to be the first sewerage connection in Toowoomba in 1926. Note the close proximity to several hotels and the train station. It should be noted that the building has no roof.

Russell Street toiletLocation 13: West swamp

The toilet is located at the area previously known as West Swamp. The Premier Bridge was opened over the swamp on 25 February 1862. Water is now channelled through the area.

Cross Victoria Street.

Look at the side of the Rowes building taking particular note of the rear of the buildings. Many of the buildings in this section were built between 1890 and 1903 and can be viewed better from the opposite side of the street. This is a good place to get a better view of some of the features of sites 15 and 22.

Location 14: 58 Russell Street

This area was occupied by the police station, the courthouse and a paddock in the 1860s. In 1898 the first Defiance Flour Mill (originally known as Crisp & O’Brien’s Flour Mill) was built on this site. It was designed by James Marks, as was the 2-storey flour mill storage built at the rear in 1897. After the flour mill machinery was moved, the property was subdivided internally and became known as the ‘People’s Palace’ c.1915 and provided inexpensive accommodation and meals. The buildings were then sold in 1958. Following remodelling the building commenced its current use. Rowes Furniture had operated from an adjoining site since c.1927. The business expanded into adjoining premises as the need for space grew in the 1950s/60s.

Location 15: 26 Russell  Street

Originally built for TJ Keogh, the building at 26 Russell Street was Mr A Gaydon’s saddlery for many years. Note the date 1892 on top of the building. The building was designed by well-respected architect, HWK Martin. Regrettably, he died in Toowoomba in 1897 from typhoid aged just 36 years.

Location 16: 353 Ruthven Street

In September 1865 the Toowoomba Post Office was opened on the south-west corner of Russell and Ruthven street and was moved to Margaret Street in the late 1870s.

The present corner building was later known as Jubb’s Corner for many years after the pharmacist whose shop was located there. Cross Russell Street to the NW corner before walking towards the railway station.

Location 17: 33 Russell Street 

The former National Australia Bank, built in 1961, replaced the building designed by colonial architect FDG Stanley (1839-1897) and built by James Renwick. William Henry Groom, our first Toowoomba mayor in 1861, established a store called The Corner Mart on this site. In 1870, Groom converted the building and advertised it as The Commercial Hotel having “one of the coolest and most capacious cellars in the country”. A Council directive in 1953 resulted in removal of verandah posts to provide tie suspended metal street awnings.

Location 18: 37 Russell Street

No. 37 Russell Street, formerly HG Wyeth’s hardware store, was designed by Henry Marks and opened in 1907. At the time the facade was described as ‘elaborate’ with natural lighting being given priority. Note the cast iron verandah supports, which are also used as downpipes.

Location 19: 37-53 Russell Street

There are many progressive commercial buildings in this block of Russell Street from the late 19th and early 20th centuries.

Location 20: 55 Russell Street 

The National Hotel at 55-63 Russell Street was originally the European Hotel, built c.1883. In 1893 floodwaters were 4 feet 6 inches deep inside the hotel. The building has been renovated over the years, with major changes in the 1930s. Inside are numerous old photos and intricate ceilings.

Location 21: 65 Russell Street 

The Cossart family has continuously owned Cossarts Saddlery at 65 Russell Street since 1906, when they bought the business from McDonald & Quinn. The current façade was built in 1958.

Location 22: 67-71 Russell Street

The ornate appearance of 71 Russell Street, c.1906, again reflects the Marks family architectural influence. Originally the site of Neden Bros Flour Mill, the present building has housed cafes, dentists and many shops. The site is featured on the front cover of this brochure with original verandahs shown.

Return to the railway station.

 

Acknowledgement: Thanks to John Clements for preparing the text and Ivy Lindsay for providing the drawings.

Walking time

Allow approximately 45 minutes at a brisk pace or over one hour at a leisurely pace to complete this walk. A self-directed drive is included as point 29.

Interactive online map - Newtown historic walk

History

Around 1858, George Thorn, an Ipswich merchant bought land known as Thorn’s Paddock. By 1861 another landowner, John Shipman had established a reputation as an outstanding farmer. In 1865 Newtown was surveyed as town lots and offered for sale, making it one of Toowoomba’s older suburbs. In 1879, when Gowrie was gazetted as a shire, it contained much of the present Newtown. The Shire of Gowrie was abolished in 1913 and part became the Town of Newtown. It remained a town in its own right from 1913 until 1917, the first Mayor being Alderman James Hagan.

Newtown historic walking path

Newtown historic walk map

The walk begins on the opposite side of Holberton Street from Newtown Park’s State Rose Garden.

Walk towards Campbell Street.

Location 1: 147 Taylor Street - Newtown Park

Newtown Park was formally opened in 1913. Its perimeter was planted with two hundred camphor laurel (Cinnamomum camphora) trees donated by Queensland’s Department of Lands. The park has a history of cultural, sporting and military use. Rose Cottage is a reminder of occupation by the United States Navy for ‘Rest and Recreation’ during World War II. Other huts that were removed from the park after the war may be seen on the Newtown drive (West and Fanny streets).

Turn right into Campbell Street.

Sash window style post World War IILocation 2: 247 Campbell Street

The house at no. 247 dates from the period after World War II, when materials were at a premium and accommodation shortages, had reached a critical point. Both the Queensland and Commonwealth Governments legislated to ensure fair access to materials and labour by allowing smaller dwellings to be built without permits. Despite earlier settlement, enough land was available to enable rapid growth to occur during the decade following the war. Therefore the area has homes from a number of eras including houses built before World War I (1890-1918); the Inter-War Period (1920s-30s) and houses built after World War II (1940s-50s). The latter are recognisable in age and style and form a significant part of Newtown’s character.

Some post World War II homes are built of brick with tiled roofs. They vary from single, double to triple fronts with moderately pitched roofs and generous roof overhangs. Windows are often casements, sometimes at corners. The house at 247 Campbell Street is clad in fibro with decorative cover battens. Others are clad with narrow chamfer boards. Typically these homes have low to moderate roof pitches in a stepped hip form and are low-set on stumps. Sash windows (see image on right) with horizontal mullions on the top sash were commonly used.

Turn right into Bernard Street.

Location 3: 4 Bernard Street and 8 Bernard Street

Homes at no. 4 and no. 8 are Post-World War II houses, free of the ornamentation of earlier styles.

Location 4: 12 Bernard Street

Burwood at no. 12 is an older home with a decorative front verandah, central passage and coloured glass sidelights around the front door.

Turn left into Taylor Street.

Location 5: Mature pin oak tree

A mature pin oak (Quercus palustris), contributes greatly to the streetscape.

Guttering and hood window stylesLocation 6: 119 Taylor Street

In the 1940s the high-set building at no. 119 was a police station and residence.

Turn right into Clairmont Street.

Location 7: 5 Clairmont Street

No. 5 was built around 1912 for Mr Jim Humphrey at a cost of £240. Mr Humphrey worked for Castlemaine Perkins brewery, retiring as foreman when the business closed. Grand Central Shopping Centre occupies the former brewery site. Mr Humphrey was a life member of the Newtown Progress Association and caretaker of the Newtown Hall. The house is a remarkably intact example of an early cottage from the Victorian Era (19th century) with bullnose front verandah roof and ogee gutters (see image on right). Note the verandah brackets and simple balustrade typical of 19th century cottages. Its timber sash windows with coloured glass sidelights are typical of this style, as are the metal window hoods.

Turn left into Rome Street.

Location 8: 49 Rome Street

Newtown Hall at 49 Rome Street was formerly the Council Chambers and was later used as a picture theatre until after World War II. Chairs from this theatre were reused at the Newtown theatre ‘Fiveways’. From mid-1995 until December 2003, the Newtown Progress and Hall Association, led by Des and Karen McLucas, acted as caretakers. It is currently a valued Council community facility.

Old brick chimneyLocation 9: 33 Rome Street

No. 33 Rome Street was the police constable’s home in 1914. Its chimney is decorated with contrasting string courses (see image on right).

Location 10: 31 Rome Street

In 1950, no. 31 was built for ex-western graziers. Art deco style plaster ceilings and cornices are similar to those used in Toowoomba’s Empire Theatre. Leadlight windows are silky oak with green and yellow glass. In 2003 the original tiled roof was replaced.

Location 11: 27 Rome Street

The house at no. 27 is depicted on the brochure cover. It was built in the 1950s by Colin Barlow for a Mr Wishart who supplied timber from his country property. The home features leadlight casement windows and unusual diagonal brickwork panels below the windows and on the fence. 

Like no. 31, this house was built later than the ‘austerity’ homes immediately following World War II. Luxury touches are a sign of greater affluence and availability of materials.

Location 12: 30 Rome Street

Spreydon, at 30 Rome Street, is the southern portion of a house built for Robert Filshie, timber merchant, c. 1896. In 1908 it opened as Spreydon Girls’ College with Misses Beth and Jessie Thomson as co-principals. Within two years it became a Presbyterian Ladies’ College, the forerunner of Fairholme College. Spreydon was separated and moved to its present location in about 1922. Turn right into Warra Street where the other section of ‘Spreydon’ remains at 7 Warra Street.

Location 13: 7 Warra Street 

Oak Lodge, at 7 Warra Street, is believed to take its name from the century-old silky oak (Grevillea robusta) planted in Spreydon’s school yard. The home’s architect, James Marks, was a member of the Toowoomba sawmilling firm of Filshie, Broadfoot & Co. His design in the Victorian manner features ‘Gothic’ forms and decoration made possible by generous supplies of fine timber.

Turn right into Russell Street.

Location 14: 156 Russell Street

No. 156 is a good example of the Post-World War II brick and tile home with metal fence panels and gates of the era. It was built by Mr Charles Higgins c. 1950 and has had few changes since.

Location 15: 177A Russell Street

The Art Deco style house at no. 177A was occupied by its builder, Mr William Brose, in 1939. The following three houses were built before World War II, in the 1920s or 30s.

Location 16: 164 Russell Street

Jasmine, at no. 164 was the home of Archdeacon WP Glover. In 1933 he laid the foundation stone for planned extensions to St Matthew’s Church, Drayton.

Inter-war house styleLocation 17: 166 Russell Street

At that time, a blacksmith named Arthur Higgins lived at Clontarf, no. 166, a pretty Victorian Era house. Note the name in the fretwork entry pediment.

Location 18: 170 Russell Street

Boyanup, at no. 170, was named by its original owners after the Western Australian town where they had lived. Between World War I and World War II a new style of housing, the Inter-War (see image on right) or Bungalow style became popular in Queensland.

Location 19: 205 Russell Street

No. 205 dates from that era, the 1920s-30s. There have been additions to the house and garden.

Location 20: 209 Russell Street

In 1921 Miss Mary Butterworth used the two front rooms of no. 209 for music lessons. She left her sulky in rear stables and tethered her horse in the yard.

Location 21: Camphor Laurel trees

Camphor laurel trees enhance the southern side of the streetscape. They appear to be remnants of an earlier avenue.

Location 22: 202 Russell Street

In 1951 the building at no. 202 replaced a church which was officially opened by Rev. Richard Dunstan in 1911 as Newtown Methodist Church. It has been the Russell Street Uniting Church since 1977.

Ridge cresting on roofLocation 23: 229 Russell Street

Kymoria, at no. 229, was a private hospital owned by Dr Alex Horn who was the medical officer for the Town of Newtown. The brick cross on the chimney, ridge cresting (see image on right) and mature silky oaks are noteworthy.

Location 24: 214 Russell Street

No. 214 is a typical Inter-War house featuring battened gables, weatherboards and a distinctive front verandah (now enclosed).

Location 25: 216 Russell Street

Many corner and small stores contribute to Newtown’s character. The florist shop at no. 216 was a store and post office in 1921 with the shop residence next door. 

Turn right into Holberton Street.

Location 26: 141 and 139A Holberton Street

At 141 and 139A Holberton Street the butcher’s shop and post office remain but with new uses. The street is named after Frederick Hurrell Holberton, Toowoomba businessman and member of the Queensland Legislative Council whose home, now Ascot, was built in 1876.

Location 27: 102 Taylor Street

The former convenience store at 102 Taylor Street, on the western corner, dates from at least the 1930s. Walk to the State Rose Garden in Newtown Park.

Location 28: 147 Taylor Street – State Rose Garden

Gowrie Shire Council purchased land from Henry Pottinger for the Park in 1912. In 1913 the 11th Infantry Regiment of the Citizens’ Forces and in 1923 the 11th Light Horse Regiment camped in the park. Plaques on site record the rose garden’s history.

Self-directed drive suggested places of interest:

  • Weetwood – 423-427 Tor Street
  • Ascot – 15 Newmarket Street
  • Tor – 7 Devon Street
  • Clifford Park racecourse – 37 Hursley Road
  • Newtown State Primary School – 24 Albert Street
  • Old picture theatre, shops & hotel – 65 Anzac Avenue
  • Elphin house – 24 Anzac Avenue
  • The Glennie School – 246A-248 Herries Street
  • St Mary’s College – 129 West Street
  • Kerrilaw building – within St Ursula’s College, 38 Taylor Street
  • World War II huts –2-14 Fanny Street
  • St Rest House – 3 Gladstone Street

 

Acknowledgement: Sketches by Ivan McDonald. Thanks to residents and contributors for preparing the text. 

Walking time

Allow approximately one hour at a brisk pace or over an hour at a leisurely pace to complete this walk.

Interactive online map - Queen's Park historic walk

History

During the reign of Queen Victoria, it was customary for the colonial government to grant land for a 'Queen’s' park.

In 1861, the municipal council was granted land where the Grammar School is now located but by 1871 it was exchanged for the present site (Government Camping Ground Reserve). This parcel of land had been used for grazing and was studded with deep holes made by brick makers. In 1872, Mayor W.H. Groom was instrumental in obtaining grants to fence the area and establish a botanical garden.

Queen's Park historic walking path

Queens park and surrounds walk map

Commence the walk at the park’s entrance arch in Lindsay Street. 

Location 1: Queens Park 43-79 Lindsay Street (alt 77 – 119 Margaret St)

Work commenced on the Botanic Gardens in 1875 and planting has continued steadily since then. This area is now known as Queens Park Gardens. The entrance arch in Lindsay Street is made of local Helidon sandstone and was erected in 1987. 

Walk into the gardens, noting the nearby pillars donated after the removal of the National Australia Bank in Ruthven Street.

Alfred Thomas memorialQueens Park was originally the Government Camping Reserve covering 60 acres. Toowoomba’s Christmas races were held on the grounds in 1860 and clay was dug from the ground for brick making. The early curators, Way and Harding, were faced with the mammoth task of creating a park from an area covered with fallen trees, clay pits and general rubbish. Mr Way established a botanical garden in this corner of the park. He also planted 11 acres with experimental crops of new cereals, fruit trees and other crops. Most of the trees were planted c. 1900 but some are well over 100 years old.

Location 2: Alfred Thomas memorial

The Alfred Thomas Memorial (see image on right) was erected in memory of Alfred Thomas, who had been the supervisor of the Southern and Western Railways in the 1870s. His drowning in Sydney Harbour in 1881 shocked the local community, who donated the money to build this memorial. The structure was originally located on the corner of Margaret and Ruthven streets but was relocated during the 1890s. Wander around and enjoy this formal garden area and then walk to Campbell Street to view the next site.

Location 3: 80 Campbell Street

Turn left into Campbell Street. On your right, note the windmill display, Cobb & Co Museum, the National Carriage Factory and the TAFE College. On the left, Whyembah (see image on right) is located next to Queens Park at 80 Campbell Street and was built around 1890 on one acre of land. The property previously included a bowling green and tennis court. The home has wide verandahs and elaborate Edwardian details. It fell into disrepair in the late 1940s, losing much of its original stained glass, cedar joinery and colonial hardware. It has since been restored, with a two storey rear extension of interest.

Whyembah houseLocation 4: 77 & 94 Campbell Street

While walking down Campbell Street, don’t miss the beautiful Spanish Mission style house at no. 77 called Casa Mara. This style was popular in the 1920s and 30s. Kimblehurst at 94 Campbell Street was owned at one time by Mr BJ Beirne, who became the city’s first Toowoomba-born mayor.

Location 5: 91 Campbell Street

Claremont at 91 Campbell Street was built around 1905 with a coach house and stables at the back. It has elaborate iron lacework around its bull-nosed verandah. Continue down Campbell Street noting the many historic homes, bluestone kerbing and mature camphor laurel (Cinnamomum camphora) street trees.

Turn left into Hume Street.

Location 6: Eleanor Street

Hume Street runs along the western edge of Queens Park. The two streets on the left side are thought to have been named after the Godsall family. The father, Richard, and two sons were former mayors of the city. Eleanor Street is particularly interesting because it is lined with palm trees marking an earlier entrance to the Botanic Gardens. Eleanor Godsall, Richard’s wife, was later married to Alexander Mayes who was Mayor of Toowoomba in 1896, the year Eleanor died.

Continue along Hume Street and turn left into Margaret Street.

Swimming baths on Margaret and Hume streetsLocation 7: Vera Lacaze Park, corner Hume and Margaret streets

Vera Lacaze Park is on the corner of Hume and Margaret Streets. With its well-laid out gardens and fountains in 1960s style, it recognises the contribution of Vera Lacaze, who was the first woman elected to the Toowoomba City Council and who served on Council from 1952-62.

Location 8: 121 Margaret Street

No. 121 Margaret Street, on the north-western corner of Margaret and Hume streets, was formerly the Canberra Private Hotel. It was built and operated by the Temperance Society and became the place to stay. Many retirees from the land made the hotel their permanent address. As times changed the hotel was converted to a motel, and it continued in that capacity until it was sold to the Grain Growers Association about c. 1970. It is now used as offices and known as Canberra Place.

Cross Margaret Street to view the next site.

Location 9: 124 Margaret Street

The first section of the Technical College, on the southeastern corner of Hume and Margaret streets, was completed in 1912. Mr Alexander Mayes, who was also the president of the Technical College, was the successful tenderer at £7,000. The front façade of the building features brown glazed bricks known as ‘brown teapot bricks’ which were specially imported from Yorkshire, England and may be the only example of these unique bricks in Queensland. The other bricks and the sandstone used in this building are of Australian, mostly local, design.

Location 10: 106 Margaret Street

At the corner of Margaret and Burstow streets are East Creek Park, the Boer War Memorial Gateway and the Mothers’ Memorial. When the gaol was converted for use as the Austral Hall, the building was dedicated as a memorial to those who served in the Boer War. The Austral Hall was later demolished and some bricks from the hall were used to construct the memorial gateway. Refer to item 14 also.

The Mothers’ Memorial was originally constructed in Margaret Street, near the intersection with Ruthven Street, and officially unveiled by the State Governor on 28 January 1922. 

Mothers memorial locationThe mothers of local men who were killed in World War I erected the memorial. It was relocated in 1985 to East Creek Park causing great controversy at the time. A plaque (to the north-west of the intersection) denotes the original site. Other memorials, commemorating the involvement of Australia’s Armed Forces in conflicts around the world, are also located in the park.

Location 11: 100 Margaret Street

The fine, two storey, verandah fronted building at 100 Margaret Street was built c. 1910 as a residence for the father of Fred Crook-King, a well-known Toowoomba photographer.

Location 12: 96 & 94 Margaret Street

Two delightful Edwardian Era buildings exist at 96 and 94 Margaret Street. No. 96 houses a café and no. 94 the Repertory Theatre. Both buildings feature curved bay windows and picturesque roofs.

Location 13: 92 Margaret Street

No. 92 Margaret Street was originally the hospital for the women’s gaol. Today it houses a café.

Location 14: 90 Margaret Street

DeMolay at 90 Margaret Street was the 1864 Court House which was converted to a women’s reformatory in 1882. It was adjacent to the gaol walls. The gaol covered the area now occupied by the Park Motor Inn. You can still see the solitary confinement cell beneath the rear of no. 90. After the closure of the gaol, the building was used for the annual science contest held in conjunction with the Austral Festival. It later became Rutlands Guest House and was purchased in 1967 by the DeMolay Order. 

Cross Margaret Street, opposite the Park Motor Inn, to a path leading into the park and the Richard Ross Harding commemorative avenue of trees. Continue up Margaret Street.

Location 15: 73 Margaret Street

At 73 Margaret Street is the Bishop’s House. Originally called Killalah, it was designed by Harry Marks and built c. 1911 for William Charles Peak, a prominent businessman. Its construction is unusual as each brick wall in the building has individual foundations to counter soil movement. The house was purchased about six years later by a Mr Horrigan and given the name of Dalmally. The house had a number of other occupants before it was acquired by the Toowoomba Catholic Diocese in c.1944 as a residence for Bishop Roper. It was recently restored for the Catholic Education Office.

Cross Lindsay Street to view the next site.

Glass house in Queens parkLocation 16: Queens Park, corner of Margaret & Lindsay – drinking fountain

A drinking fountain was placed in the corner of Queens Park in 1936 to recognise William Charles Peak’s service to the community. Mr Peak ran a grocery business and was Chairman of the Board of Directors of both the Darling Downs Building Society and Security Trust Co. as well as being on the executive of the Royal Agricultural Society and Chamber of Commerce.

Continue down Lindsay Street toward the starting point of the walk.

Location 17: Queens Park, Toowoomba Historical Society

The Toowoomba Historical Society occupies the building beside Queens Park Gardens. Opening times are indicated on the outside of the building. While you are in the area, consider visiting the Cobb & Co Museum café at 21-27 Lindsay Street.

 

Acknowledgement: Thanks to Beris Broderick for assistance in compiling the information and sourcing illustrations from the Toowoomba Historical Society Inc. and Bob Dansie.

Walking time

Allow approximately 45 minutes at a brisk pace and longer at a leisurely pace to complete this walk.

Interactive online map - cultural and legal precinct historic walk

History

The cultural and legal precinct is bounded by Margaret, Neil, Herries and Ruthven streets, an area rich in history of institutions on which the cultural, spiritual, legal and social life of the city is founded.

Cultural and legal precinct historic walking path

Cultural and legal precinct walk map

Toowoomba court house

Commence the walk at the former Post Office building at 136 Margaret Street.

Location 1: 136 Margaret Street, former post office

This fine building was built between 1878 and 1880 to replace a smaller one on the south-west corner of Ruthven and Russell streets. Designed by government architect FDG Stanley, and built by John Garget in creamy white sandstone quarried at Spring Bluff, the post office was responsible for mail and telegraph services, and from the early 20th century, the telephone exchange as well. The clock tower was set forward of the building alignment so that it could be seen from the junction of Margaret and Ruthven streets.

Location 2: 142 Margaret Street, former Court House

The Court House (see image above) was built in 1878, replacing the former court house at 90 Margaret Street, now named DeMolay. The new court house was also designed by government architect FDG Stanley in the Classical Revival style, and was built by John Garget. Of interest is the annex in Neil Street, which is of later construction and made of Helidon sandstone. It was in the court house that George Essex Evans worked in his capacity as registrar of births, deaths and marriages.

Turn left into Neil Street.

Location 3: 50 Neil Street, police station complex

In 1866, the colonial government built police barracks on this site to replace the police station on the south side of Russell Street, west of Ruthven Street. The present building designed by government architect RC Nowland, dates from 1936. It is of historic interest as one of four substantial brick buildings erected by “relief workers” during the depression of the 1930s to provide employment. Other buildings are the schools at North, South and East Toowoomba.

Location 4: 51 Neil Street, St Stephen's Uniting Church

Across the road is St Stephen's Uniting Church (see image on right). This former Presbyterian Church was established in 1863 in a wooden building on James Street. In 1884 the congregation moved to this building designed by James Marks and built by James Renwick. A fire extensively damaged the building in 1989 but it was lovingly restored.

St Stephens uniting churchLocation 5: 54 Neil Street, the Empire Theatre complex: Wesley Uniting Church, Armitage Centre, Empire Theatre

The Empire Theatre Complex. The Armitage Centre, a contemporary ‘black box’ flexible performance space, was designed by James Cubitt Architects. Built in 2014 by Hutchinson Builders, it contrasts with both the adjoining Wesley Church Theatre and the Art Deco Empire Theatre.

The former Wesley Methodist Church (see image on left), later Wesley Uniting Church, was built in 1877 by Richard Godsall to a Gothic Revival design by the Brisbane architect Willoughby Powell, who also designed the Town Hall. The Wesley Theatre has significant stained glass panels by Ashwin and Falconer.

The original Empire Theatre was built in 1911 by a group who had been showing ‘moving pictures’ in the Austral Hall from 1907. The Empire was designed to present both vaudeville and motion pictures until it burnt down in 1932. The north and south walls remained standing and were incorporated into the rebuilt Art Deco theatre, used as a picture theatre until the early 1970s. During the mid-1990s the theatre was refurbished and reopened as a performance venue in 1997 as Australia’s largest regional theatre.

Location 6: 58 Neil Street, Masonic Temple

The Masonic Temple was built by James Renwick and was completed in 1886. It was set well back to allow for a circular driveway from Neil Street so the gentlemen of the Masonic fraternity could be driven to the door. There was a paddock provided where horses and carriages could be safely left during meetings. Augustus Charles Gregory, a distinguished gentleman, noted explorer and engineer (whose residence was Harlaxton House), was the Grand Master in the 1880s.

Wesley theatre

Turn right into Herries Street.

Location 7: 152 Herries Street, St Lukes Anglican Church

James Renwick constructed the first stage of St Luke’s Anglican Church by 1897. The traditional Gothic Revival design by diocesan architect John Hingeston Buckeridge replaced an earlier timber slab building constructed in the mid-1850s. The eastern end of the building including the northern transept and chancel, designed by Charles Beresford Marks, was completed by 1959. Adjacent to the church, facing Ruthven Street, is the church hall built in 1911 to a distinctive Harry Marks design.

Turn right into Ruthven Street and continue down the eastern (right) side.

Location 8: 149 Herries Street, Soldiers Memorial HallSoldiers memorial hall

The Soldiers’ Memorial Hall was erected in three stages: 1923-24, 1930-31 and 1957-59 as a memorial to the participation, and loss, of members of the Toowoomba community in WWI and later wars. Local architectural firm Hodgen & Hodgen designed all three stages of the building. Features of the interior include a memorial vestibule, honour rolls, offices and meeting, recreation and dining rooms as well as a former dance hall.

Location 9: 541 - 543 Ruthven Street, City Hall

A School of Arts building established on this City Hall site in 1861 was replaced with a more substantial building in 1877. This second building was demolished due to a fire in 1898 and the Town Hall was erected in 1900 by builder Alexander Mayes to a Willoughby Powell design. This design didn’t include a clock and this feature was added as work progressed. A School of Arts library and a Technical College were included on the first floor and various Council offices were located on the ground floor.

From 1937 to 1994 the art gallery was also housed at this site. On the western end of the building is a theatre that has been used for cultural and social events. This section has undergone more changes than any other part of the building. Renovations have occurred in the 1940s, 1970s and 2016.

Location 10: 525 - 529 Ruthven Street, Regional Art Gallery

The Toowoomba Art Gallery was established in 1937, making it Queensland’s oldest public regional art gallery. The present building, designed by Allom Lovell Marquis-Kyle, was opened in 1994. The southern section had formerly been offices for the Toowoomba Electric Light and Power Co. The old building was adapted for re-use and a contemporary wing added as Council’s good example of maintaining community buildings with strong heritage values. The Art Gallery Park is designed around the aboriginal theme ‘Sacred Journey Home’.

Kwong Sang Walk, completed in 2015, recognises the contribution of the Chinese community. Lanes off Ruthven Street have large murals painted as part of the First Coat Festival.

Location 11: 451 - 455 Ruthven Street, Alexandra Building

The Alexandra building was constructed by James Renwick to a design by prominent Toowoomba architect Henry James (Harry) Marks (1871-1939) for local caterer and businessman, Thomas Kelsall Lamb (1856-1913). The building has a decorative three-gabled face-brick parapet with the words ‘Alexandra Building’ in honour of the Queen, wife of Britain’s King Edward VII. It originally comprised an upper floor banquet/concert hall and pre-dated Toowoomba’s Austral Hall on the old Toowoomba gaol site and also the Empire Theatre. The Alexandra hall opened in 1902 with a seating capacity of 2200.

Location 12: 433 - 437 Ruthven Street, Harrison Printing Building

A new, purpose-built Harrison Printing building with strong Scottish Arts and Crafts influence was designed for Mark Harrison in 1912 by architect William Hodgen and built by William Penhallurick. In 1906, printers Robert Weston and Mark Harrison dissolved their partnership and the Harrison Printing Co was established, continuing for decades. Mark Harrison had learned his trade at the Darling Downs Gazette’s office and had worked with printer Job E. Stone, Toowoomba’s mayor in 1909. 

Cross Ruthven Street to the former Bank of NSW building.

Location 13: 431 Ruthven Street, Bank of NSW Building

In 1940-41, during a nationwide Bank of New South Wales building program, Helidon sandstone was used in the construction of this building in Victorian Free Classic Revival style. The Bank of NSW, Toowoomba’s first bank, was located south of the current building in a timber house with slate roof from 1860. Its manager, RHD White, was instrumental in providing the infant Municipality of Toowoomba with bridging finance until rates could be collected.

Location 14: 456 - 460 Ruthven Street, White Horse Hotel

The White Horse Hotel façade can be viewed from the old Bank of NSW. A hotel was established on this site in 1866 and replaced by the present two-storey brick building which was erected in several phases with the ornate façade completed by 1912. This upgrade is thought to have been designed by Reginald Marks who worked in a Toowoomba architectural firm with his father, James and brother, Harry. The façade included a deep verandah which was removed in the early 1950s to comply with council regulations to remove verandah posts and provide tie-suspended metal awnings. The hotel continued trading until 1986.

Retrace your steps back across Ruthven Street and continue along the southern (right) side of Margaret Street.

Location 15: 209 - 215 Margaret Street, Niddrie House

Niddrie House takes its name from Niddrie Marischal House four miles from central Edinburgh, Scotland and home to the Wauchope family until 1944. The Toowoomba building was occupied in the 1930s-40s by L. L’Armand Fruiterer & Milk Bar, YWCA rest rooms, outfitters and dry cleaners.

Location 16: 178 - 180 Margaret Street, Tattersall’s Hotel

Tattersall’s Hotel was built by Richard Godsall in 1883 to a design by James Marks for Austin Carigg. The two storey brick hotel featured cedar joinery and a five stall stable. Across the street was TG Robinson & Co’s Tattersall’s horse bazaar. This was a major commercial enterprise in the last half of the 19th century and the street served as a thoroughfare for beasts on the way to and from market. For at least one day a year, horses for auction were paraded and prospective buyers gathered on the hotel balcony to make their bid.

Cross Neil Street.

Location 17: 40 Neil Street, Strand Theatre

The Strand theatre is the longest continually operating purpose-built cinema in Queensland. In 1914, James Newman, owner of the corner Crown Hotel, opened the Crystal Palace Picture Gardens next to his hotel on the site of the present Strand theatre. Toowoomba’s first Congregational Church, 1864-1889, had formerly occupied the site. Originally unroofed, the theatre catered for 1000 patrons for movies, boxing and concerts. In 1915 Mr Newman built the New Crystal Palace Theatre and lessee Senora Spencer renamed it The Strand. In the early 1930s Birch, Carroll and Coyle took over and, with the building owners, arranged a redesign in Art Deco for the theatre’s interior. Architect, Guy Crick, used fan shapes as the dominant motif seen in the wall friezes. The Cinema 4 complex was opened in 1992.

 

Acknowledgement: Thanks to Bob Dansie, Eleanor Cullen, Pat Murphy and Michael Scott for preparing the text.

Walking time

Allow approximately 45 minutes at a brisk pace and longer at a leisurely pace to complete this walk.

Interactive online map - East Creek Park and Paddington Estate historic walk

History

This walk starts at the Toowoomba Visitor Information Centre on the corner of James and Kitchener Streets, and takes you past Toowoomba Grammar School and through an area that was first developed in 1866. Discover houses and trees that are over 100 years old while learning about the families who lived here.

East Creek Park and Paddington Estate historic walking path

East Creek walk map sharpened

 

 

 

 

 

 

 

 

 

 

 

 

 

 

 

 

 

 

From the Information Centre, the cycleway is used to approach and leave this historic area.

Location 1: Toowoomba Information Centre, 82 - 86 James Street

Start the walk at the Guide to Toowoomba map. To the rear of the centre pass between a large swamp cypress (Taxodium distichum) and a tall eucalypt. Notice two tulip trees (Liriodendron tulipifera) and a mature camphor laurel (Cinnamomum camphora) as you make your way to cross at the James Street lights.

Location 2: Cycle path, 54 Kitchener Street

This street, named after King James I of England, was once Toowoomba’s main thoroughfare and where our first town hall was sited. Bullock teams were a common sight on their way to and from the coast before the coming of the railway in 1867. Follow the cycle path beside East Creek with its willows (Salix babylonica) and swamp cypresses.

Location 3: Trees

Cross Mary Street. Here a large she-oak (Casuarina) overhangs the creek. Among the trees in the small park opposite are three chestnut-leaved oaks (Quercus castaneifolia), also found in Horton Street and a carob tree (Ceratonia siliqua).

Location 4: Horton Street entrance

Turn right into Horton Street, named after one of Toowoomba’s colourful characters, William Horton, nicknamed Bill the Fiver because of his love of gambling. His origin is somewhat obscure but it seems that, at the age of thirteen, he was transported as a convict for stealing a coat. In 1847 he built the original Bull’s Head Inn, Drayton and the current building in 1859. Horton made many investments in Toowoomba prior to his death in 1864 at the age of 47.

Location 5: 15 Horton Street

Immediately left is No. 15, a Victorian Era house, was built between 1890 and 1918.

Location 6: 14 Horton Street

Houses at no. 5 and no. 15 Horton Street are of a similar age.

Location 7: 68 and 66 Herries Street 

Early cottages face Herries Street where it meets Horton Street. Robert Atkins, a horse cabman, lived on the corner at 68 Herries Street in 1902. No. 66 has two gables with pressed metal infills. Often barge boards were decorated with dentils (see image on right).

Location 8: 69 Herries Street

There has been a shop at 69 Herries Street since the late 1800s. In 1925 it was a saddlery owned by William Wood.

Location 9: 67 Herries Street

No. 67 Herries Street, built 1897/8 is typical of Toowoomba’s early timber cottages; four roomed, symmetrical, with a pyramid shaped galvanised iron roof and front verandah. It featured in the TV program ‘Who’s Been Sleeping in My House’. In the early 20th century it was one of the city’s lying-in hospitals where women gave birth with the assistance of a mid-wife. The mid-wife for many years was Cecilia Lea, whose first husband, cab driver James Anderson, was killed aged 34 years. The vehicle in which he was taking tourists on a sight-seeing drive overturned near Gabbinbar. His widow and two young children were given this house, purchased with money raised in a public appeal.

Location 10: 'Glenroy', 60 Herries Street 

Glenroy at 60 Herries Street is over 100 years old. This was the home of Robert Gordon Cousins, manager of Wyeth’s hardware store from 1900 until his death in 1913 at the age of 43. His widow Lottie died in 1966 at the age of 86. The cast iron balustrade (see image on right) is original.

Cast iron balustradeLocation 11: Entrance to Paddington Estate, 61 Herries Street

Cross Herries Street to enter the Paddington Estate, now part of the Caledonian Estate. John Watts owned the 20 acres (8 hectares) prior to its subdivision into an unusual pattern of streets and narrow lanes. He had been part-owner of Eton Vale station and was Minister for Public Works when the railway to Toowoomba was opened.

Now named DeMolay, the Court House was at 90 Margaret Street when the advertisement, complete with errors, appeared in the Darling Downs Gazette.

advertisement

The paper later reported that the attendance at the sale was ‘very large’ and the bidding ‘highly spirited throughout’. The corner lots in Margaret and Herries Streets fetched the highest prices - £35 to £40.

Location 12: Toowoomba Grammar School, 39 Herries Street

Mary Street was originally called Park Street as the land on which the Toowoomba Grammar School now stands was the original Queens Park until 1875 when the school was established. Towards the Margaret Street end is a large retaining wall made of basalt. This volcanic material came from local quarries and was used extensively for kerbing which gives character to Toowoomba’s oldest areas.

Location 13: 'Maida', 143 Mary Street

No. 143 Mary Street, once named Maida, is a Queensland bungalow. This modest home with its gabled front is from the Inter-War Era of the 1920s and 30s. The small verandah has been enclosed.

Location 14: 141 Mary Street 

Council minutes from May 1871 record that ‘the well for the Paddington Estate should be sunk at the junction of Pitt and Park streets’. Before turning into George Street note Cronulla at 135 Mary Street, an early house more elaborate than the cottage style and with one projecting front room with a decorated gable. Its bay window and banded chimneys with contrasting string courses are attractive features.

Banded chimneyLocation 15: George Street streetscape, 137 Mary Street

From here the view directly west shows the landmark two-storeyed St Mary’s College, West Street. Its original 1899 building was designed by Toowoomba architect William Hodgen Jnr. George Street contains a mix of early, Inter-War and more recent houses.

Location 16: 8 George Street

In 1900, no. 8 was the home of a sawyer, William McMullen. The four room cottage was the only house on this side of the street at that time. From 1917 the resident was Elizabeth McMullen, one of the first Toowoomba women to have the right to vote in the 1917 election. She was a nurse and the house was another lying-in hospital.

Location 17: 'Paddington', 84 Lindsay Street 

At Lindsay Street turn left. No. 84, named Paddington, was designed by William Hodgen Jnr in 1899 for Robert Bruce, a member of a well-known Toowoomba family of stonemasons.

Location 18: 88 Lindsay Street

Lindsay Street, between Margaret and Herries streets, was originally named Lutwyche Street after Judge Alfred Lutwyche who presided at many trials in Toowoomba and was noted for his courtroom humour. No. 88, built in 1888, was recently given the original street name. The intact metal window hoods are of an unusual design.

Location 19: 90 Lindsay Street

At 90 Lindsay Street, there was a four room cottage in 1904 with a kitchen added by 1906. The property value then being £36. The traditional style guttering features acroteria (an architectural ornament placed on a flat base and mounted at the corner of a roof).

Acroteria

Opposite is a large red cedar tree (Toona ciliata), an outstanding asset of the Caledonian Estate.

Location 20: 92 Lindsay Street

No. 92 is one of six Queensland bungalows from the Inter-War Era. Its fence has been carefully designed to reflect the original period character.

Location 21: 82A Herries Street

Turning right into Herries Street with its avenue of camphor laurel trees, notice the hall numbered 82A, currently used by the Table Tennis Association. At one time this was Coddington’s Wood Depot.

Location 22: 85 Herries Street

No. 85 is a building from the Edwardian Era featuring period balustrading, frieze and window hood.

Location 23: The Sentinels, London Plane trees

Two large London plane trees (Platanus x acerifolia), known locally as The Sentinels, are landmarks on the southern side of the bridge. One can be seen on the cover of this brochure. They are at least 100 years old and at one time shaded a horse trough.

Location 24: Cycleway back to James Street

Cross at the lights and follow the cycleway beneath the willows back to James Street. The bluestone bridge you have just crossed, designed by Council engineer, the late Murray Clewett, is a more modern example of the use of local basalt and features on the cover.

Along the creek look out for black ducks, red wattlebirds, blue-faced honeyeaters, noisy miners and perhaps a white-faced heron fishing in the shallows. The cycleway follows Kitchener Street, called East Street until 1916 when it was renamed in honour of the World War I field marshal.

Location 25: Chinese Gardens, 108 Kitchener Street

After crossing James Street, you may like to rest on a picnic seat provided near the beginning of the walk. Chinese gardens providing vegetables for the local market once stretched along the creek banks.

 

Acknowledgement: Thanks to Ivan McDonald for the map and architectural sketches; Eleanor & Peter Cullen, Beris Broderick and John Clements for the historical and botanical information.

Walking time

Allow approximately one hour at a brisk pace or over an hour at a leisurely pace to complete this walk.

Browse the Interactive online map - Drayton historic walk.

History

Settlers from the south arrived on the Darling Downs in 1840 after the explorer, Allan Cunningham, found the rich plains in 1827. A settlement commenced at 'The Springs' when an enterprising 20-year-old adventurer, set up a business selling his wares on Westbrook Creek, after being chased off several other properties. It is believed that this adventurer was Stephen Mehan (Meehan), later to become the owner of Thomas Alford's Downs Hotel and Store.

Early settlers from Moreton Bay and Ipswich, having traversed the torturous Gorman's Gap route, rested both man and beast at the water hole later to become 'The Springs'. Noting the increasing traffic through the Springs, Thomas Alford, the earliest settler in the area, built a house and general store here in 1842, becoming the first official storekeeper.  He named his house St Audries (the name of his father's church in England) and the town after his home village, Drayton, in Somerset. Alford obtained a license to sell alcohol from his store in 1844, after which it became known as The Downs Inn. In 1846 this inn was transferred to Stephen Mehan. Thomas Alford built another house and store, that incorporated the first post office on the Darling Downs, opening on 1 January 1846.

Drayton historic walking path

rsz 1drayton historic walk map

 Location 1: The Royal Bull's Head Inn, 59 Brisbane Street

Historic image of the Royal Bull's Head Inn

Begin your journey at The Royal Bull's Head Inn, which was built by William Horton in 1859 but now stands as a museum. The original inn, constructed in 1847 in slab and shingle style, stood on the southern side of the present building.

Remnants of the original kitchen can still be seen on the sidewall of the attached kitchen. As a meeting place for locals and travellers alike, there were many outbuildings including stables, extra accommodation and possibly a saddlery and a blacksmith shop. Richard Lynch purchased the inn in 1879 and it became a family home, 'The Terrace' until the National Trust bought it in 1974. Walk around the grounds and read the interpretive signs displayed.

The Royal Bull's Head Inn museum is open on the first and third Sunday of the month 10am to 2pm and most Wednesdays from 9am to 1pm. Visit the Royal Bull's Head Inn Facebook page for more information.

Park your car here and proceed on foot to sights two to eight.

Location 2: Memorial to Arthur Hoey Davis, Brisbane Street

Continue south along Brisbane St to the Memorial to Arthur Hoey Davis – better known as Steele Rudd, author of 'On Our Selection'. Davis was born at Drayton, the eighth child and fifth son in a family of 13 children. His father took up a selection at Emu Creek and Davis was educated at the local school. Davis published a long series of stories based on his father's experiences producing the 'On Our Selection' series. During his last years, he had to struggle to make a living. He died in Brisbane in 1935.

Location 3: Drayton National School, Darling Street

Historic photo of Drayton School with children standing out the front of the building.

Turn right into Darling Street and cross the road to the school. Block A was constructed in 1920. The school depicted in this photo was further up the hill to your right. Drayton National School commenced in 1851 being the third school established in, what is now, Queensland. The first building was a 'slabs and bark' construction accommodating up to 50 pupils.

Location 4: Mehan's Well, Flanagan's Well and the Public Springs

Head back down Darling Street. The view across the highway up the hill shows where some of the original buildings of Drayton were erected. To the left in the creek would have been where Mehan's Well, Flanagan's Well and the Public Springs were situated. On the right hand side, you can see Shepperd Street (once Stephen St) which was the address for the Catholic Church, the Darling Downs Gazette, the Police Station and the Court House. Mehan's Store was on Peel Street, about where the Woolworths store now stands.

Location 5: Memorial Hall

policestationmaindtreet

Turn left back into Brisbane Street and continue past the Inn to the Memorial Hall. It was originally built as the Drayton Town Hall. The front section is the oldest. The hall is now  'home' for 12 community groups, who meet there to conduct their activities on a weekly basis. These range from dance groups to church groups to musical groups. On most Saturday nights, it is hired to the general public for one-off functions such as engagement parties, birthday parties and weddings. This photo, taken looking up Brisbane Street around 1937, shows the hall on the left and Miss Lynch's store on the right.

Location 6: Police station

You also pass the police station, built in 1981, on the site of the old station erected in 1915. That building was moved to the north-western corner of Rudd and Glennie Streets. The Drayton Stations were closed and reopened a number of times over the years but re-opened in 1930 for the last time and remains open to this day.

Location 7: Arranmore, 11 Brisbane Street

arranmore

Continue along Brisbane Street to number 11. 'Arranmore', which sat on several acres of land, was built for John Hehir and his wife Mary (Boland) around 1900. It comprised four rooms, front and side verandahs and had a steeply pitched roof. The kitchen, as was the practice then, was detached from the house. Their daughter, Annie, was a teacher at South Girls School from 1932 to 1950 and their son, Michael, was the last Hehir to live in the house. When he died in 1979 the property was subdivided.

Location 8: Memorial to the soldiers

Cross over Brisbane Street to the park. View the Memorial to the soldiers from Drayton who lost their lives in the two World Wars. Across Luck Street you can see many cottages built in the early to mid 20th century.

Location 9: Catholic Church

Retrace your steps to the Royal Bull's Head Inn and return to your car. Drive along Brisbane Street, past Woolworths to Shepperd Street (formerly Steven Street) on your left. Drive up this street to view the site of the Catholic Church.

The first Catholic Church in Drayton was built in 1866 where you can see two trees. Father William Larkin was the first priest appointed to Drayton (1863 to 1866).  

Prior to the church being built, Mass was celebrated in the private homes of Catholic families and in the Town Hall. In December 1892 the church building was destroyed in a violent storm. The Catholic community immediately set to work to build a new church, the one you see in the photo, erected almost on the same site as the old one. It was consecrated and opened on 1 September 1895. The Priests from St Patrick’s Cathedral looked after the spiritual needs of the community until 1971 when it was transferred to the care of the St Anthony’s community. Due to serious structural problems the church was closed in 1979 and sold for demolition. The Stations of the Cross, the Bell and the Plaque in memory of Archbishop Robert Dunne are held in the Toowoomba Diocesan Archives.

While at this location, note the view back towards the school and the Royal Bull's Head Inn.

Location 10: Drayton Police Station

draytonpolicestation

A Drayton Police Station was established prior to the inauguration of the Queensland Police Force in 1864, making it one of the oldest stations in the area.

In 1858 the police station building comprised a courtroom, a lockup and the prisoner’s cells immediately adjoining the courtroom – an arrangement that was considered objectionable. The lockup was described to be in such a state of disrepair, that a number of prisoners managed to escape in 1857 and 1858 and it was reported in 1904 that one of the cells had a three square foot hole in its roof. By 1915 a new station was built in Brisbane Street. This photograph shows the Police Station and second courthouse from 1867 to 1915 which occupied this site in Shepperd Street. The building was demolished in 1979.

Location 11: Old wooden bridge

Return to the highway turning right. Turn left towards the school and then a sharp left into Brisbane St. This was the early road to Warwick. You will stop at the old wooden bridge where you can also view the fine specimens of pepperina and willow trees. These trees were introduced into Australia in the early days for shade and for the retention of the river banks.

Location 12: First St Matthew's Anglican Church - Rev Benjamin Glennie

benjamin glennie memorial

Turn around and proceed along Rudd Street to the left. 

At the corner of Cambooya Street stands a cairn marking where the first St Matthew's Anglican Church stood. Rev Benjamin Glennie had a parsonage in the block just north of this spot in which he took services until the church you see in the photo was built in 1859. By 1885 this church was too small for the congregation so the present church was built.

Location 13: St Matthew's Church

The present St Matthew's Church sits on the hill in front of you, but to get to it you need to retrace your steps to the highway, pass the inn, turn left into Colvin Street, left into Glennie Street then right into Beatrice Street.

This small, bluestone church was built in 1886/87 under the direction of architect, James Marks. It was built with a timber chancel to reduce costs. In 1933 extensive work was done to remove the old timber sanctuary and replace it in bluestone as originally intended. In 1987 the temporary timber vestry was replaced with masonry. If the church is open you can see a replica of the slab church in the back corner.

Location 14: DownsSteam Rail Museum

downssteam

Continue along Beatrice Street, past The Glebe Retirement Units and turn right into Cambooya Street. At the end of the street you will come to the DownsSteam Rail Museum. The museum, a community-based volunteer organisation dedicated to the establishment of a tourist railway, was established in 2001. It has developed over the years to now include a dining car, a 'Dreamtime' car depicting a day's passing in Aboriginal art and a range of historical items to view including the old Yuleba Railway Station.

A 1914 locomotive built at the Toowoomba Foundry, a 1938 railmotor from Sydney and a 1956 diesel locomotive built in Maryborough are available for viewing. 

Opening times are from 9am to 3pm on Tuesdays, Thursdays and Saturdays. Visit the DownsSteam website for more information.

 

Acknowledgement:

Content compiled by Helen Moloney, Les Rub, Graeme Ratcliffe, Beris Broderick and Deborah Theodosis from the National Trust of Australia (Queensland), Toowoomba Branch.

Location 7 photograph taken from Beris Broderick's book 'A History of Cottage Life in Toowoomba: 1860 - 1910'.

Drayton and Toowoomba Cemetery at sunset.Location

Drayton and Toowoomba Cemetery, corner Anzac Avenue and South Streets.

Cemetery open 6am to 6pm daily (parking available within the grounds).

Walking time

Allow approximately 1.5 hours for each Tombstone Trail walk.

History

Explore the rich and fascinating history of Toowoomba's early pioneers with a unique tombstone trail - a self-guided walk through the gravesites of some of the Drayton and Toowoomba Cemetery's most prominent residents.

Discover the meaning of certain headstones and gain a personal insight into the richness of the lives of Toowoomba's early residents with these five walks dedicated to the pioneers that contributed to the development of Queensland's Garden City.

The state heritage listed Drayton and Toowoomba Cemetery was established in the 19th century and is the final resting place of many of Toowoomba's most prominent citizens.

Many of the original custodians of the area - from the Giabal, Jarowair and other Aboriginal groups, are also buried here, but the exact location of their graves are unknown.

Finding your way

In the 1900s the cemetery was set out into various religious and community sectors. The cemetery is divided into various 'sections' such as CE (Church of England) and LUTH (Lutheran).

These sections are subdivided into 'blocks' with lower numbers commencing in the eastern section and the higher block numbers found to the west. Two rows of graves make one block.

Exceptions are the six RC 1 'blocks' near the Sheedy Memorial. The Old RC and Old CE sections are not clearly defined into blocks.

Block numbers run east.

Tombstone Trails map

toowoombatombstonetrailsmap

Legend

CE: Church of England

LUTH: Lutheran

RC: Roman Catholic

PRES: Presbyterian

METH: Methodist

OLD METH: Old Methodist

OLD RC: Old Roman Catholic

OLD CE: Old Church of England

OLD BAPT & CONG: Old Baptist and Congregational

OPD: Other Protestant Denominations

 

Explore each of the Tombstone Trails below or view the Tombstone Trails brochure online.

 

Tombstone Trails - Walk One

Thomas Price

Location: Section CE 1, Block 1, Allotment 53

Thomas Price worked on large estates in England, where he gained valuable farming knowledge. When they arrived in the 1860s, he and his wife worked for a year on Gowrie Station before moving to Toowoomba. This beautiful anchor carved from a single block of marble symbolises hope in a life hereafter.

Emma Webb

Location: Section CE 1, Block 4, Allotment 45

In 1893, the first appendectomy in Australia was performed on Emma Webb on the kitchen table in her residence at the rear of her husband's bakery on the corner of Ruthven and Piper Streets. She recovered well from her ordeal and went on to outlive her doctors.

The main building of the Toowoomba Hospital is named in her honour and features an informative display about her procedure and its historic significance.

Christoph Donges

Location: Section LUTH 1, Block 3, Allotment 16

Many German labourers were indentured to owners of large stations on the Downs. Mr Donges spent the first two years on Westbrook Station before moving to Jondaryan. He married and eventually moved to Drayton where his farm was one of the best in the district. His tombstone with a biblical quotation in German contains information on his origins.

Pamela Coote

Location: Section CE4, Block 6, Allotment 4

Pamela Coote (nee Dent) was the daughter of Josiah, who was the first European to live in 'The Swamp ' later to be known as Toowoomba and was the first female child christened in Toowoomba. The Rev Benjamin Glennie baptised her in the home of Mr and Mrs Thomas Alford with their son Henry, on 29 August 1852. The name Toowoomba was used on her birth certificate and it was the first time it had been used on an official document.

William Lam Poon

Location: Section CE8, Block 6, Allotment 11

William (Lam) Poon was one of many Chinese who came to Australia seeking gold on the Palmer River field. He lived at 14 Sir Street and sold vegetables and fish. His son Hunter excelled at sport and taught at Toowoomba High School for many years.

 

Tombstone Trails - Walk Two

Josiah Dent

Location: Section CE 13-18, Block 15, Allotment 37

Josiah Dent was probably the first European to live in "The Swamp,'' later to be known as Toowoomba. He was found living in a tent where the entry to the Myer store is today (Dent Street). There

is a garden there now. After his marriage, he built a house near the present CWA (Country Women's Association) rooms in Margaret Street. His daughter Pamela was the first female child christened in Toowoomba.

George Essex Evans

Location: Section CE 19-24, Block 19, Allotment 60

In 1903 the poet George Essex Evans was the driving force behind the formation of Toowoomba's Austral Society. His poems 'The Women of the West' and 'The Nation Builders' were well known to Queensland school children who learnt them from their reading books. Essex Evans died in 1909 at the age of only 46 and this 'life cut short' is commemorated in the broken column design of his headstone.

Samuel Horsfall

Location: Section CE 19-24, Block 24, Allotment 44

The Drayton orchard of Samuel Horsfall was renowned throughout the Downs for its cleanliness and successful treatment of the fruit fly menace where he showed what could be achieved. The obelisk design has been used since ancient Egyptian times and signifies eternity.

The "Eulo Queen"

Location: Public 1, Block 48, Allotment 72

Born in Mauritius, Isobel Graynee Richardson became a famous figure in the town of Eulo where she owned a number of hotels that she managed with legendary strength. She married more than once and was renowned for wearing her beloved opal encrusted corset after her love of opals. She died in Toowoomba in 1929.

Frederick Kretschmar

Location: LUTH 2, Block 3, Allotment 2

Kretschmar's Band was well-known in Toowoomba. Mr Kretschmar passed on his expertise to many bandsmen contributing significantly to the musical development of Toowoomba.

 

Tombstone Trails - Walk Three

Nellie Elizabeth Robinson

Location: Section OLD CE 1, Block 4, Allotment 53

Nell was the first woman Mayor in Queensland after her election in April 1967 and held the position for almost 15 years. Nell studied dramatic art in London then returned home to help in the war effort, later teaching at Fairholme. She was awarded an OBE in 1979.

William Beit

Location: Section OLD CE 2, Block 16, Allotment 24

William Beil married Mary Kellett and to mark the occasion they resolved to build a homestead. John McLean (Colonial Treasurer of Queensland) and William Beil bought the land in 1853, on which Westbrook Homestead was eventually built a kilometre from the main Pittsworth highway just beyond Westbrook Creek.

William Henry Groom

Location: Section OLD CE 1, Block 12, Allotment 9

William Henry Groom arrived in Australia in 1849 as a boy of 16 years, convicted of stealing in England three years previously. He became an auctioneer in 1858. Over the next 43 years, he became respected and influential and could be named the father of Toowoomba. He was Toowoomba's first Mayor elected in 1861.

He led his Council in acquiring land for the Town Hall and funds for the establishment of the General Hospital and Willowburn Hospital, now Baillie Henderson. He died of a combination of 'bronchial catarrh' and heart failure on 8 August 1901.

Thomas Trevethan

Location: Section OLD BAPT & CONG, Block 5, Allotment 67

Thomas Trevethan was born in Cornwall, England and died 21 September 1891 aged 47 years. He was a coachbuilder, Alderman and became Mayor in 1888. Thomas Trevethan Junior, with his uncle Walter, built the first Queensland car in their Neil Street factory in 1902. It was a single-cylinder 6hp Dion engine buggy.

Henry Spiro

Location: Section JEWISH 1, Block 3, Allotment 24 & 25

Henry Spiro, the only German/Jewish Mayor of Toowoomba was elected in 1873 and died on 10 December 1876, aged 36 years and two months. He was instrumental in building the first Jewish Synagogue in Queensland situated in Neil Street. His monument is inscribed in Hebrew and English.

 

Tombstone Trails - Walk Four

William Gentle

Location: Section OLD RC 2, Block 1, Allotment 21

The brothers William and Peter Gentle were Toowoomba hoteliers. Peter's hotel The Horse and Jockey, is now known as the Shamrock. William owned land where the present Gentle Street is located.

Thomas Perkins

Location: Section OLD RC 2, Block 4, Allotment 4

In 1869 the brothers Patrick and Thomas Perkins constructed a large brewery in Margaret Street on the site now occupied by Grand Central Shopping Centre. The brewery produced more than 25,000 gallons of XXX beer per week, making it one of the largest in the southern hemisphere. Thomas died on 10 August 1876 from injuries accidentally received at the age of 35.

Major James Tolmie

Location: Section OLD PRES 1, Block 4, Allotment 42

James was a part-owner of the Darling Downs Gazette and also a parliamentarian. His sister, Helen (Ella) Tolmie was the first probationer engaged at the Toowoomba General Hospital and was said to have assisted at Emma Webb's appendectomy. She was appointed to Matron of the General Hospital in 1897 and is interred with her brother.

Sir Hugh Nelson

Location: Section OLD PRES 1, Block 7, Allotment 35

Sir Hugh Nelson was the President of the Legislative Council, Lieutenant Governor of Queensland, Queensland Treasurer and State Premier. Sir Hugh Nelson lived at historic Gabbinbar, which was built in 1863. Gabbinbar is situated at the southern end of Ramsay Street. Sir Hugh Nelson's father was the Rev William Lambie Nelson, the first minister of St Stephens, Presbyterian Church.

John and Sarah Devine

Location: Section OLD PRES 1, Block 11, Allotment 3

John, Sarah and their three children arrived in Brisbane on the 'Lady Douglas' in June 1874. John Devine and his wife Sarah farmed in the Vale View area South of Toowoomba until he became Sexton of the Drayton and Toowoomba Cemetery on 1 March 1875. This began 86 years of continuous service by three generations of Devines to the cemetery.

A descendant Mrs Davison (nee Devine) pointed out that John's surname was originally Diffin but on leaving the ship, which brought them from Ireland, his surname had changed from Diffin to Devine. No apparent reason is known for this but Mrs Davison mused that it may have been on account of pronouncing the name 'Diffin' as 'Devine'.

 

Tombstone Trails - Walk Five

O'Brien Family

Location: Section RC 1, Block 14, Allotment 19

Patrick and Ellen O'Brien were married in 1884 and established a store in Russell Street. In 1899 with then partner George Crisp, they opened a flour mill in Russell Street in 'defiance' of the existing Dominion Mill. Operations were later moved to the existing premises in Ruthven Street. Mrs O'Brien managed the company following the death of her husband. At the time she had ten children.

Timothy Spillane

Location: Section RC 1, Block 22, Allotment 14

Timothy Spillane was the husband of Margaret. Spillane was charged with Michael Irwin's murder but his wife's confession later caused his release.

Michael Irwin

Location: Section RC 1, Block 24, Allotment 41

Michael Irwin died from blows inflicted to the head by Margaret Spillane, in her fowl house. In testimony, she said, 'I thought he was a Chinaman'. Mrs Spillane was sentenced to death, but this was later reduced to life imprisonment. She was imprisoned in the Toowoomba Jail, which was located in Margaret Street. The jail's foundations are still visible at the end of Stirling Street.

Michael Daniel Pigott

Location: Section RC 4, Block 1, Allotment 22

Michael was the founder of Pigott and Co and established a retailing business in Toowoomba after he broke away from his Brisbane partner Bierne.

John McKinney

Location: Section PRES 3, Block 12, Allotment 29

John McKinney left Ireland in 1881 at the age of 19, for Australia. In 1885 he established the House of McKinney that began as a tobacconist and hairdresser at the top end of Ruthven Street. During the war, the business grew and by 1927 John McKinney passed the reins over to his son. Toowoomba's store extended from Ruthven Street over Dugan Street to Victoria Street.

 

Acknowledgement

Trails and content compiled by Toowoomba Regional Council, the Drayton and Toowoomba Cemetery and Peter Cullen of the Toowoomba Historical Society.